
Introduction
Osteitis pubis is caused by repeated overloading of the pubic symphysis, which is the joint at the front of the pelvis between the two ends of the pubic bone, causing inflammation. This inflammation leads to sclerosis and resorption of the pubis symphysis, causing both acute and chronic groin pain. The condition can leave sufferers incapable of sustained physical activity. It can seriously affect the careers of athletes.
This condition more frequently affects people involved in running and kicking sports. Men are more affected than women, and the onset is usually in the third or fourth decade of life. The condition is usually self-limiting with recovery typically taking many months. There are several factors that contribute to developing this condition, including muscle action on the pelvis, limitation of rotation of the hip, pelvic biomechanics (e.g. sacroiliac dysfunction), neurogenic factors, and overuse.
When this condition occurs without repeated overloading it tends to be termed pubic symphysitis.
Diagnosis
Symptoms and signs include pain and tenderness, usually related to movement and activity. There are a number of structures attaching to the pubic bone, any of which can become inflamed. Inflamed muscular attachments will be tender and contraction of the muscle will provoke pain. The symphysis proper can be tested by manual pelvic compression with all the muscle relaxed.
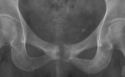
Clinical investigations, including x-ray and isotope scanning are useful in diagnosis.
Treatment
Management includes modified activity during recovery; physical therapy to correct dysfunction of muscles and faulty biomechanics of the back, pelvis, and lower limbs: judicious use of medications.
For athletes there is some evidence that local injection of steroids in to the symphysis can accelerate recovery. Intractable cases may be considered for surgery. Laporoscopic placement of mesh has been described along with the historical fusion operations.
© Mr Gavin Holt :: CotswoldClinics.com :: Print this frame